本土で初発見カメムシ、唐津で採集
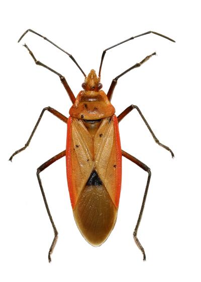
佐賀県立宇宙科学館《ゆめぎんが》の奥田恭介さん(34)=佐賀市=が、カメムシの一種オオアカホシカメムシが国内本土で初めて発見されたと発表しました。亜熱帯に広く生息するオオアカホシカメムシは、国内では奄美大島、沖縄本島、石垣島、西表島で確認されているだけ。体長はおよそ2.5センチ。唐津市の佐賀県上場営農センターの害虫の発生を調べる予察灯で2025年9月に採集され、佐賀県立宇宙科学館に持ち込まれました。奄美大島では植物のアオギリを餌に繁殖しており、アオギリは国内本土では大隅半島以外に自生していません。
佐賀県立博物館職員で宇宙科学館に常駐している奥田さんは、侵入ルートや餌植物の解明を進めれば、九州と南西諸島の生物地理学上の関係を考える手掛かりになると期待しています。今回の標本が宇宙科学館に持ち込まれ、「身近なところで見つかった昆虫が新発見になる可能性がある」と話しています。今回の研究成果は2026年3月発行の日本昆虫学会の学会誌・昆蟲(ニューシリーズ)29巻第1号に掲載されました。
昨年、九州で初めて唐津市でハイイロイボサシガメを発見し、カメムシの研究で注目される奥田さんが今回の発見について寄稿してくれました。
(地図の赤印が採集地点)


今回、「上場営農センターで見慣れないカメムシが捕獲された」と連絡を受けて、大変驚きました。
それは、これまで佐賀県からは見つかっていない「オオアカホシカメムシ」だったからです。この虫は国内では奄美大島、沖縄本島、石垣島、西表島から見つかっていますが、いずれも記録が少なく珍しい種です。佐賀県を含む日本本土部ではこれまで見つかっていませんでした。
今回県の機関である上場営農センターが害虫の発生を調べるために設置している発生予察灯で、メス1個体が採集されました。
奄美大島では、アオギリの種子を餌に繁殖している様子が観察されていますが、このアオギリが佐賀県には植栽などで持ち込まれているものの、もともとは分布していません(本土では大隅半島にのみ自然分布しています)。このことから、私はおそらく佐賀県には分布していない昆虫だろうと考えています。その一方で、「少ないながらも、もともと佐賀県に分布しており、佐賀県ではアオギリ以外の植物を餌にしている」という可能性も捨てきれません。引き続き調査を継続していきたいと考えています。
もし自力で九州に入ってきたとすれば、どうして距離的により近い鹿児島県や宮崎県ではなくて佐賀県なのか、そしてどのようなルートで佐賀県に侵入したのか、そういったことを調べられれば、佐賀県と琉球列島との生物地理的な関係性が見えてくるかもしれません。
今回の発見は、発見者の方と一緒に記録をまとめ、日本昆虫学会の学会誌・昆蟲(ニューシリーズ)で発表しました。
また、今回採集された標本は宇宙科学館にご寄贈いただきました。このような貴重な標本が宇宙科学館にはたくさん収蔵されており、その標本を活用して日々研究活動が行われています。
今回のようにあっと驚く大発見は実はまだまだ身近にありそうです。佐賀県のどこに、どのような昆虫が住んでいるかを調べるには、私一人の力だけでは到底足りません。皆さんも見慣れない昆虫を見かけたら、科学館にご連絡をいただけると嬉しいです。それはひょっとすると、専門家が驚くようなものすごい新発見かもしれませんよ。

